إعصار ميليسا يضرب الكاريبي ويحصد أرواح 49 شخصًا
ضرب إعصار "ميليسا" العنيف منطقة الكاريبي مخلّفًا وراءه كارثة إنسانية وبيئية كبرى، إذ أعلنت السلطات المحلية وفاة 49 شخصًا على الأقل، إلى جانب عشرات المفقودين والمصابين، فيما تواصل فرق الإنقاذ جهودها وسط ظروف مناخية صعبة للغاية.
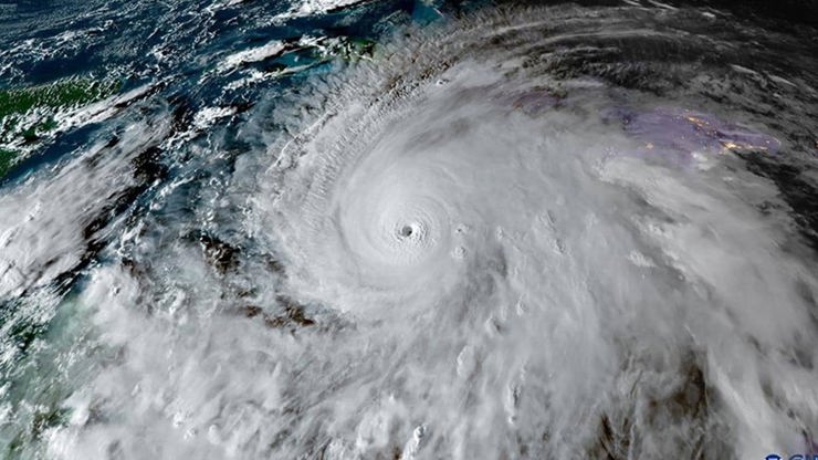
الإعصار، الذي صُنّف من الفئة الرابعة على مقياس الأعاصير، اجتاح عدداً من جزر الكاريبي بسرعة رياح تجاوزت 210 كيلومترات في الساعة، ما أدى إلى اقتلاع الأشجار، وتدمير المنازل، وانقطاع التيار الكهربائي عن مئات الآلاف من السكان.
وقالت هيئة الأرصاد الوطنية الكاريبية في بيان رسمي إن إعصار ميليسا هو الأقوى الذي يضرب المنطقة منذ أكثر من عشر سنوات، مؤكدة أن تأثيراته طالت مناطق واسعة من هايتي وجمهورية الدومينيكان وجزر الباهاما وترينيداد وتوباغو.
وذكرت الهيئة أن الأمطار الغزيرة المصاحبة للعاصفة تسببت في فيضانات وانهيارات أرضية أدت إلى قطع الطرق وتعطيل حركة المواصلات، في حين تم إجلاء آلاف الأشخاص إلى مراكز إيواء مؤقتة أقيمت في المدارس والمباني العامة.
من جانبها، أعلنت الهيئة الوطنية لإدارة الكوارث في هايتي أن البلاد سجلت أعلى حصيلة للضحايا، مع وفاة أكثر من 25 شخصًا وإصابة عشرات آخرين، في حين تضررت مئات المنازل بشكل كامل. كما لقي عدد من الصيادين مصرعهم بعد انقلاب قواربهم في عرض البحر بسبب شدة الرياح.

وفي جمهورية الدومينيكان، أفادت السلطات بأن الرياح العاتية دمرت شبكات الكهرباء والاتصالات في عدة مناطق ساحلية، فيما تم إنقاذ مئات العائلات بعد أن حاصرتهم مياه الفيضانات داخل منازلهم.
وفي جزر الباهاما، وصفت الحكومة الوضع بأنه "كارثي"، حيث غمرت المياه مطار العاصمة ناسو، وتضررت الموانئ والبنية التحتية بشكل كبير، وتم تعليق الرحلات الجوية والبحرية بالكامل حتى إشعار آخر.
المنظمات الإنسانية الدولية سارعت إلى تقديم المساعدات، إذ أعلنت منظمة الصليب الأحمر الدولي أنها بدأت في إرسال فرق طوارئ لتقديم الدعم الطبي والغذائي للمتضررين، مشيرة إلى أن الأولوية القصوى حاليًا هي إنقاذ الأرواح وتوفير المأوى والمياه النظيفة.
من جهته، دعا الأمين العام للأمم المتحدة المجتمع الدولي إلى مساندة حكومات الكاريبي في مواجهة الكارثة، مشيرًا إلى أن تغيّر المناخ يزيد من قوة وتكرار الأعاصير في المنطقة.
وفي السياق نفسه، حذّر خبراء المناخ من أن ارتفاع درجات حرارة المحيطات يسهم في تضخيم الأعاصير المدارية وجعلها أكثر تدميرًا، داعين إلى ضرورة تطبيق سياسات بيئية صارمة للحد من الانبعاثات الكربونية.
وفيما تستمر عمليات الإنقاذ والبحث عن المفقودين، أُعلنت حالة الطوارئ في عدة جزر، وتم فرض حظر تجول ليلي لتسهيل عمل فرق الطوارئ ومنع أعمال النهب، في حين تم تعليق الدراسة وإغلاق المؤسسات الحكومية إلى أجل غير مسمى.
الصور القادمة من المناطق المتضررة تُظهر حجم الكارثة، حيث تحولت الشوارع إلى أنهار من الطين والمياه، وامتلأت المستشفيات بالمصابين، بينما يقف المواطنون في طوابير طويلة للحصول على المواد الغذائية والمياه.
من المتوقع أن تستمر العواصف والأمطار الغزيرة خلال الأيام المقبلة، بحسب توقعات الأرصاد، مما يثير مخاوف من حدوث مزيد من الانهيارات الأرضية وتفاقم الأزمة الإنسانية في المنطقة.
ويُعد إعصار ميليسا تذكيرًا جديدًا بخطورة التغيرات المناخية التي تشهدها الكرة الأرضية، والتي باتت تهدد المناطق المدارية بصفة متزايدة، خصوصًا في مواسم الأعاصير التي تمتد عادة من يونيو إلى نوفمبر كل عام.